
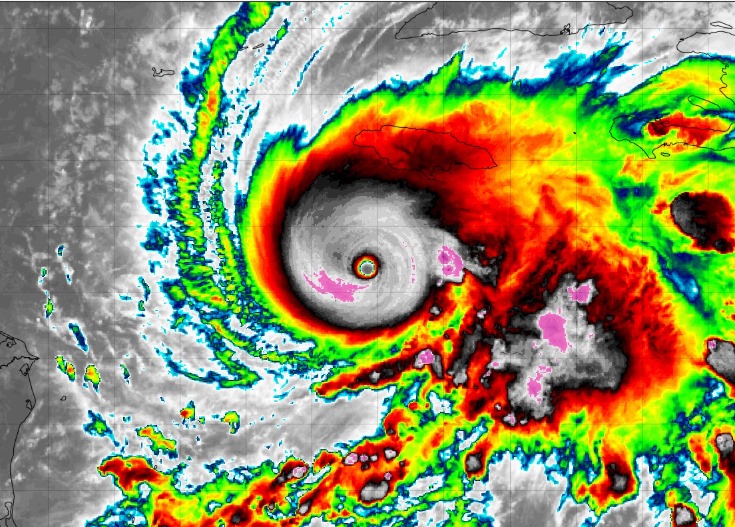
El huracán Melissa, ahora categoría cinco en la escala Saffir-Simpson, ha intensificado su fuerza con vientos sostenidos de 260 km/h y se espera su impacto directo en territorio cubano durante la madrugada del miércoles. Ante la peligrosa y catastrófica amenaza, el Estado Mayor Nacional de la Defensa Civil decretó la fase de Alarma Ciclónica para las provincias de Guantánamo, Santiago de Cuba, Holguín, Granma, Las Tunas y Camagüey
El Centro de Pronósticos del Instituto de Meteorología informó que el sistema se mueve hacia el oeste a seis km/h y se aproximará al sur de Cuba este martes, provocando un notable deterioro en las condiciones meteorológicas.
Se espera que Melissa genere lluvias intensas, vientos huracanados y un riesgo elevado de penetraciones del mar y deslizamientos de tierra, sobre todo en las zonas montañosas que caracterizan la geografía del oriente cubano.
Medidas de protección en fase de Alarma Ciclónica
En estas provincias, las autoridades instan a la población a tomar las medidas preventivas correspondientes. Entre las acciones recomendadas están la protección de viviendas, el cierre de entradas de gas y combustibles, y evitar el tránsito por áreas inundadas o peligrosas.
Además, se advierte a la ciudadanía a no acercarse a embalses, ríos y lagunas. Se enfatiza que, en caso de sentir calma momentánea, es crucial no salir del refugio, ya que eso indicaría que el ojo del huracán se encuentra sobre la región.
Se ha comenzado con la evacuación de miles de personas en las zonas más críticas de las provincias orientales. En Granma, más de 110.000 personas están siendo protegidas, mientras que en Santiago de Cuba se trabaja para resguardar a 258.573 personas. En Guantánamo, se evacuan a más de 139.000 ciudadanos, mientras que Holguín y Las Tunas también han activado los mecanismos de protección, con 69.000 y 72.000 personas bajo resguardo, respectivamente.
Los Consejos de Defensa Provinciales están trabajando de manera coordinada para asegurar la seguridad de la población y para limpiar las vías de acceso una vez el fenómeno pase.
Se recomienda mantenerse informado a través de los medios oficiales y las redes sociales. Se reitera la importancia de seguir las indicaciones de las autoridades locales y la Defensa Civil.
La prevención es clave, y las familias deben mantener la calma, asegurar sus viviendas y evitar cualquier actividad en áreas de alto riesgo. Las autoridades también instan a evitar el contacto con cables eléctricos y a permanecer alejados de zonas propensas a derrumbes.