
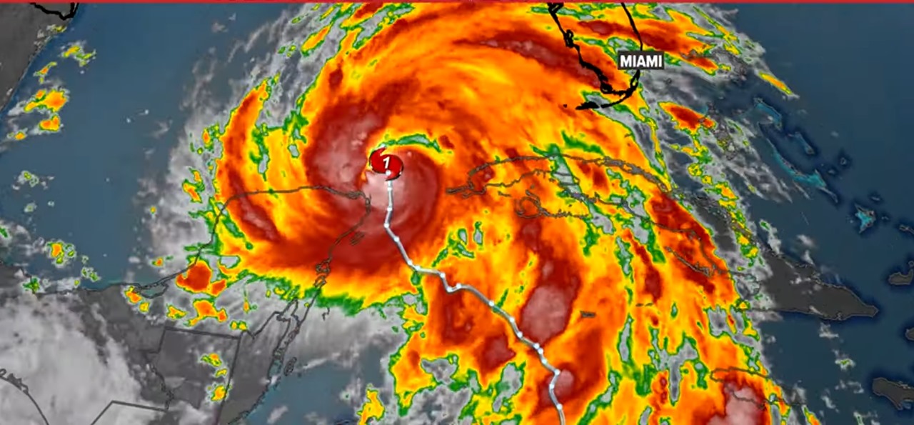
El 30 de noviembre finaliza oficialmente la temporada de huracanes del Atlántico 2024. Culminó como una de las más activas en la historia reciente y con huracanes de gran intensidad como Helene y Milton, que provocaron pérdidas billonarias en Estados Unidos. Cuba también fue afectada directamente los huracanes Oscar y Rafael, que causaron estragos en el oriente y el occidente del país, respectivamente.
Según el pronóstico inicial de la Universidad Estatal de Colorado (CSU) se predecía una temporada activa y se cumplió en gran medida, aunque la cantidad de tormentas nombradas fue menor de lo esperado. Lo atípico del 2024 es que se produjo una pausa en la generación de ciclones a la mitad de temporada.
CSU has released its Atlantic seasonal #hurricane forecast verification. These forecasts slightly over-forecast hyperactive season. Hurricanes #Helene and #Milton were the most significant hurricanes for the continental US.https://t.co/Vc1y9TkkWh pic.twitter.com/fT1vGZ7ZYk
— Philip Klotzbach (@philklotzbach) November 26, 2024
El mes de agosto, donde se presenta un tradicional pico, estuvo muy calmando. Sin embargo, los huracanes repuntaron con fuerza a finales de septiembre. Hubo formaciones récord de tormentas desde finales de septiembre. En total, 11 tormentas se formaron después del 24 de septiembre, empatando con el récord de 2005, año que vio una actividad sin precedentes.
La CSU había anticipado la formación de 23 tormentas nombradas y 5 huracanes mayores, pero en la práctica se registraron 18 tormentas, 11 huracanes y 5 de ellos alcanzaron la categoría de huracanes mayores.
Los ciclones que azotaron el continente americano, como Helene y Milton, causaron unas 250 muertes y pérdidas estimadas en 100 billones de dólares (100.000 millones).
De acuerdo con los especialistas en meteorología, el 2024 estuvo marcado por temperaturas cálidas en la superficie del mar del Atlántico tropical, lo que contribuyó a la intensificación de los ciclones. El huracán Beryl, por ejemplo, se convirtió en un huracán de categoría 5 en el mes de julio, rompiendo un récord al convertirse en el más temprano de la historia en alcanzar tal intensidad.
Huracanes Oscar y Rafael afectaron a Cuba
El huracán Oscar entró a Cuba el 25 de octubre, como un huracán de categoría 1, afectando principalmente las provincias orientales del país, especialmente Granma, Santiago de Cuba y Guantánamo. A su paso generó grandes inundaciones que provocaron nueve muertos. El impacto coincidió con un apagón general que impidió dar aviso a la población y generar una alerta temprana.
El huracán Rafael impactó el occidente de Cuba el 6 de noviembre de 2024, ingresando por la provincia de Artemisa cerca de playa Majana alrededor de las 4:15 p.m.
Al momento de tocar tierra, Rafael había alcanzado la categoría 3 en la escala Saffir-Simpson, con vientos máximos sostenidos de 185 km/h (115 mph). Dejó a su paso inundaciones, destrucción de viviendas y un acceso dificultoso debido al lodo y los escombros acumulados en las calles del poblado.

